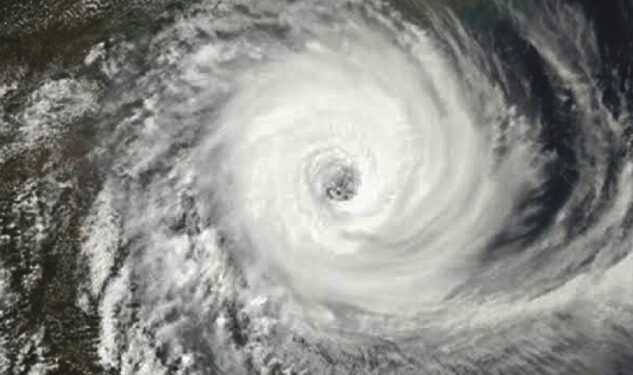
දිවයිනට ගිනිකොණ දෙසින් බෙංගාල බොක්ක මුහුදු ප්රදේශයේ පවතින අඩු පීඩන කලාපය, ඉදිරි පැය 24 තුළ පීඩන අවපාතයක් දක්වා වර්ධනය වීමේ හැකියාවක් පවතීන බව කාලගුණ විද්යා දෙපාර්තමේන්තුව පවසනවා.
මෙම පද්ධතිය බටහිරට බරව වයඹ දෙසට ගමන් කරමින් දිවයිනේ නැගෙනහිර වෙරළ දෙසට ළඟා වනු ඇතැයි අද (06) පස්වරුවේ නිකුත් කළ නිවේදනයේ දැක්වේ.
මේ පිළිබඳව නිකුත් කරන නිවේදන කෙරෙහි ධීවර සහ නාවික ප්රජාව දැඩි අවධානයෙන් පසුවන ලෙස ඉල්ලා සිටියි.
කන්කසන්තුරය, ත්රිකුණාමලය සහ පොතුවිල් හරහා මාතර දක්වා මුහුදු ප්රදේශවල වැසි ඇති විය හැකි බවත් සෙසු ප්රදේශවලට සවස් කාලයේ හෝ රාත්රී කාලයේදී ගිගුරුම් සහිත වැසි ඇති විය හැකි බවත් එම නිවේදනවල සදහන්.
ඊසාන දෙසින් හමන සුළගේ සාමාන්ය වේගය පැ.කි.මී. 30-40 ක් බවත් බේරුවෙල සිට කොළඹ, පුත්තලම සහ කන්කසන්තුරය හරහා මාතර දක්වා වන වෙරළ තීරයේ සුළගේ වේගය විටින් විට පැ.කි.මී. 50-60 දක්වා ඉහළ යා හැකි බවයි එම නිවේදන වල සදහන්ව තිබෙන්නේ.
බේරුවල සිට පොතුවිල් හරහා මාතර දක්වා වෙරළට ඔබ්බෙන් වන මුහුදු ප්රදේශ විටින් විට රළු විය හැකි අතර සෙසු මුහුදු ප්රදේශ මද වශයෙන් රළු වනු ඇති බවත් කන්කසන්තුරය සිට ත්රිකුණාමලය හරහා පොතුවිල් දක්වා වන මුහුදු තීරයේ රළ උස මීටර් 2.5 සිට 3.0 දක්වා ඉහළ යාමේ අවදානමක් පවතින බව දැනුම් දි තිබෙනවා.














